Prezentacja sprawozdań finansowych z kontami księgowymi

W systemie Softlab ERP prezentację sprawozdań finansowych wzbogacono o informacje, z jakich kont księgowych wyliczane są poszczególne pozycje sprawozdań.

Częstym żądaniem biegłych rewidentów podczas badania sprawozdań finansowych jest dostarczenie sprawozdań finansowych z informacją, z jakich kont pochodzą wartości. Wykonana zmiana pozwala oglądać te informacje w słowniku oraz wyeksportować je do pliku XLS.

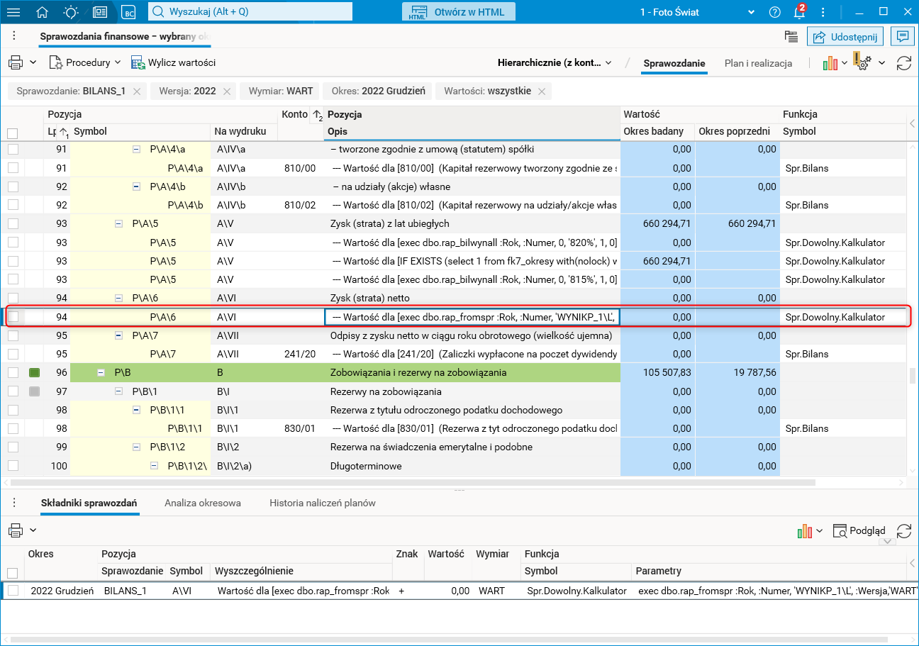
W słowniku Sprawozdania finansowe – wybrany okres dodano nowy przekrój Hierarchicznie (z kontami), prezentujący pozycje sprawozdania w postaci hierarchii wraz z przypisanymi do danej pozycji kontami księgowymi. Dane w przekroju prezentowane są podobnie jak te wyświetlane w szczególe Składniki sprawozdań, czyli:

  • W kolumnie Konto prezentowany jest symbol konta (bez znaku % na końcu). Symbol konta występuje tylko wówczas, gdy w definicji danej pozycji jest użyta funkcja działająca na polu Konto.
  • W kolumnie Pozycja;Opis wyświetlany jest tekst składający się z parametrów użytej funkcji oraz opisu konta (o ile symbol takiego konta występuje w planie kont).
  • W kolumnie Funkcja;Symbol wyświetlany jest symbol funkcji użytej do wyliczania wartości dla danej pozycji. Uwaga! Symbol funkcji nie jest prezentowany dla definicji z użyciem grup kont – wówczas wpisany jest symbol GRUPYKONT.
  • W kolumnie Funkcja;Znak prezentowany jest znak, z jakim wchodzi dana wartość do wartości danej pozycji sprawozdania.
Obraz zawierający tekst, zrzut ekranu, numer, oprogramowanie Opis wygenerowany automatycznie

Rys. Rachunek zysków i strat, przekrój Hierarchicznie (z kontami)

Jeśli w definicji użyto funkcji niekorzystającej bezpośrednio z kont np. Spr.Dowolny.Kalkulator lub Spr.Pozycja, to w polu Konto wyświetlana jest pusta wartość, a w opisie widoczny jest parametr funkcji (patrz rysunek niżej).

Obraz zawierający tekst, zrzut ekranu, numer, oprogramowanie Opis wygenerowany automatycznie

Rys. Bilans, przekrój Hierarchicznie (z kontami)

Dodatkowo zmodyfikowano szczegół Składniki sprawozdań tak, aby pokazywał również konta zdefiniowane za pomocą tzw. grupowania kont planów. Poprzednio szczegół ten nie wyświetlał kont, które były zdefiniowane za pomocą grupowania kont planów. Definicje te uwzględniane są również w nowym przekroju Hierarchicznie (z kontami), przykładem sprawozdania, w którym używane są grupowania kont, to Dane do CIT.

Obraz zawierający tekst, zrzut ekranu, numer, oprogramowanie Opis wygenerowany automatycznie

Rys. Dane do CIT, przekrój Hierarchicznie (z kontami)

Uwaga! Jeśli definicja pozycji sprawozdania jest zdefiniowana za pomocą grup kont, to ze względów technicznych prezentowane wartości na kontach nie są grupowane po linijkach definicji, grupowane są według kont analitycznych i znaku, z jakim składnik wchodzi do pozycji sprawozdania – wyświetlane są wszystkie konta analityczne, które były uwzględnione w obliczeniu wartości.

Przykład

Przykładowo pozycja A\B (Przychody NKUP) została zdefiniowana w dwóch linijkach: jedna dla kont o masce P/[PT]R/7_[12]% i atrybucie Różnica podatkowa o wartości 1 TR – Trwałe różnice w kosztach\przychodach pomiędzy wartościami bilansowymi a podatkowymi i druga linijka dla tych samych kont, ale o atrybucie Różnica podatkowa o wartości 2PR – Przejściowe różnice w kosztach\przychodach pomiędzy wartościami bilansowymi a podatkowymi.

Obraz zawierający tekst, zrzut ekranu, numer, oprogramowanie Opis wygenerowany automatycznie

Rys. Słownik Definicja linijek sprawozdań, definicja DANE_DO_CIT

Opisywana pozycja sprawozdania w przekroju Hierarchicznie (z kontami) wyświetla sumę wartości kont analitycznych określonych poprzez maski w obu definicjach bez podziału na linijki definicji.

Obraz zawierający tekst, zrzut ekranu, oprogramowanie, Strona internetowa Opis wygenerowany automatycznie

Rys. Konta dla pozycji A\B sprawozdania DANE_DO_CIT

Konfiguracja

Funkcjonalność wymaga nadania uprawnień: TAK

Funkcjonalność wymaga skonfigurowania: NIE